25.6 C
miami
mayo 14, 2026
Ultima hora

JOHA LEVY REGRESA A AMÉRICA CON FUERZA…

Negocios potables con la “revolución”

José Simón Elarba Haddad, el voraz tiburón…

¿Los hermanos De Grazia y César Omaña…

José, Chamel Gaspard Morell y el “Cártel…

Valentina Paz: la colombiana que conquista México…

Memoria viva del exilio: Resistencia Venezolana queda…

El Mojito de Papelón con Limón: el…

Pembroke Pines se viste de gala con…

ONG Resistencia Venezolana anuncia reestructuración estratégica y…

  • Home
  • Nacionales
  • Internacionales
  • Política
  • Deportes
  • Populares
  • Editorial
    • Gustavo Lainette
FacebookTwitterInstagram

VenezuelanTimes

VenezuelanTimes
Image default
  • Home
  • Cuba
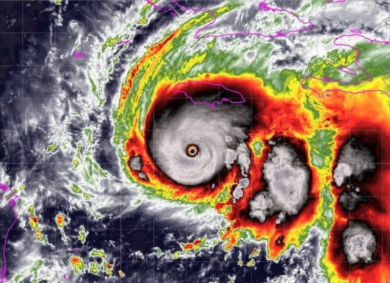
  • Melissa desata su furia en Jamaica y avanza hacia Cuba como un huracán categoría 4
CubahuracánJamaicaMelissapeligrosotocar tierra

Melissa desata su furia en Jamaica y avanza hacia Cuba como un huracán categoría 4

by lanoticia24hoctubre 29, 2025039
Share0
El huracán tocó tierra en el sureste de Jamaica con devastadores vientos de 185 mph.
Share0
previous post
En imágenes: los daños del huracán Melissa en Jamaica
next post
Gustavo Lainette propone al Gobierno de los Estados Unidos una Ley para Proteger a las Víctimas de Manipulación de Testaferros del Régimen

Posts Relacionados

Las protestas se extienden en La Habana entre apagones de más de 20 horas mientras el régimen reconoce la «situación crítica»

lanoticia24hmayo 14, 2026

Los cubanos ante Trump: de “deportador en jefe” en Estados Unidos a “salvador” de la isla

lanoticia24hmayo 11, 2026

Cuba crea maíces con ‘mejora genética’ y vuelve a hablar de ‘soberanía alimentaria’

lanoticia24hmayo 10, 2026

Cuba no aceptó $100 millones en ayuda humanitaria de Estados Unidos, dice Rubio

lanoticia24hmayo 9, 2026

Milei espera que el “sueño americano’’ de Trump llegue pronto a Cuba y Venezuela

lanoticia24hmayo 7, 2026

Marco Rubio dice que no hay bloqueo petrolero contra Cuba y La Habana lo acusa de “mentir”

lanoticia24hmayo 6, 2026
logo
FacebookTwitterInstagram
© 2026 Venezuelantimes.com - Todos los derechos reservados - Grupo circuitodigital.news
  • Home
  • Nacionales
  • Internacionales
  • Política
  • Deportes
  • Populares
  • Editorial
    • Gustavo Lainette
VenezuelanTimes
FacebookTwitterInstagram
  • Home
  • Nacionales
  • Internacionales
  • Política
  • Deportes
  • Populares
  • Editorial
    • Gustavo Lainette